Pronóstico ¿Ola de calor en pleno invierno en Santiago? Este es el pronóstico de Alejandro Sepúlveda para este martes 2 de julio
Pronóstico ¿Dónde lloverá este martes? Todas estas ciudades recibirán chubascos y nevadas con potentes vientos
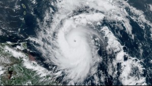
Noticias Así sería la devastadora trayectoria del huracán Beryl con vientos "potencialmente mortales" y olas de 5 metros
Noticias "Será una semana muy complicada para la ventilación": Jaime Leyton advierte sobre condiciones ambientales en Santiago
Pronóstico En estas dos regiones "van a tener que palear bastante nieve para entrar a las casas": Pronóstico de Jaime Leyton
Pronóstico Lluvia durante más de 3 días consecutivos en estas 5 regiones: También se esperan intensas nevadas en algunos sectores
Cambio climático Chile necesita hasta 5 años de lluvia normal para recuperar niveles normales de los embalses: Experto
Pronóstico Así estará el tiempo en Viña del Mar y Valparaíso durante los primeros 7 días de julio: ¿Se esperan lluvias?